REIHENENDHAUS MIT VIELEN EXTRAS!



1. Objektbeschreibung

Das rot verklinkerte und voll unterkellerte Reihenendhaus mit einem rot eingedeckten Dach wurde 1993 massiv auf einem ca. 360 qm großen Grundstück zzgl. Miteigentumsanteilen (Zuwegung, etc.) in absoluter Zentrumslage errichtet.

In den letzten Jahren wurden umfangreiche Sanierungs- und Renovierungsarbeiten vorgenommen.

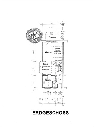
Im Erdgeschoss des Reihenendhauses befinden sich Wohnzimmer mit Kamin, Essplatz, Küche, Flur und ein Gäste-WC, sowie die große Terrasse mit Markise.

Im Obergeschoss befinden sich 3 Schlafräume und ein neues Duschbad.

Das Eltern-Schlafzimmer verfügt noch über ein Ankleidezimmer.

Über eine massive Holztreppe erreicht man das neuw. isolierte Studio, welches als Büro oder Gästezimmer genutzt werden kann.

Zu dem Objekt gehört ein Gartenhaus, ein Schuppen für Mülltonnen, ein Carport und ein zusätzl. PKW-Stellplatz.


2. Lage

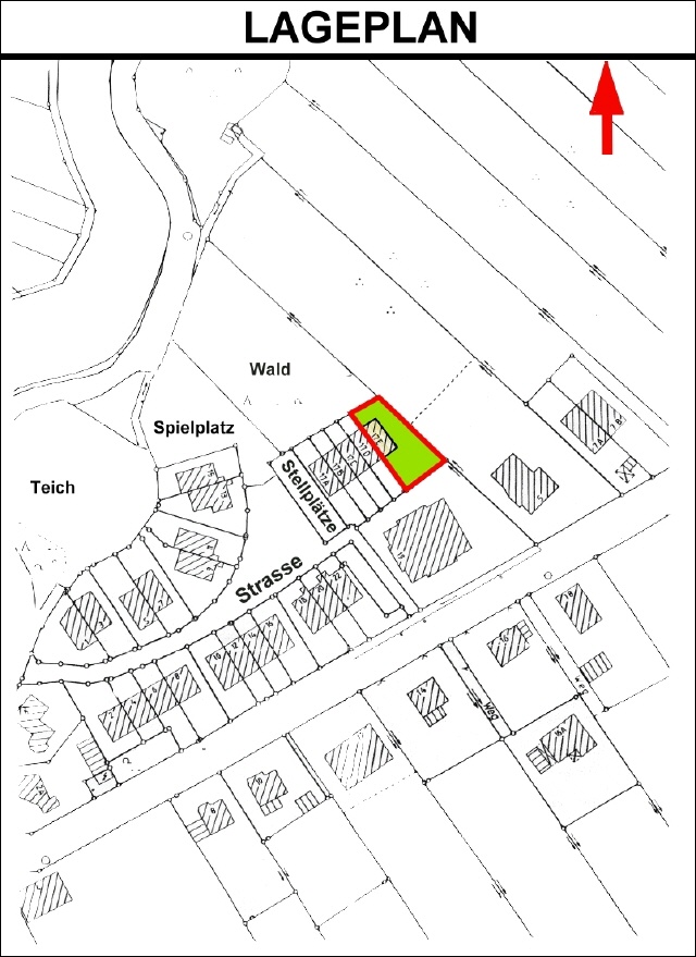
Das Objekt liegt in einer sehr bevorzugten Wohnlage zur Buxtehuder-Altstadt.

Sie können alles - Einkaufen, Wochenmarkt, Schulen und Kindergarten - bequem zu Fuss erreichen.

Ein Kinderspielplatz liegt nur 1 Minute von dem Objekt entfernt.


3. Eckdaten

Baujahr:
1993

Grundstück: 360 qm Südlage, zzgl. Miteigentumsanteile (Zuwegung, etc.)

Stellplätze: 1 Carport-Stellplatz und 1 PKW-Stellplatz

Wohnfläche: rd. 129 qm

Zimmer: 5 zzgl. Küche mit allen erforderl. elektr. Geräten, neues Duschbad, Gäste-WC

Vollkeller: rd. 50 qm – 4 Räume

Heizung: Gasheizung Viessmann mit 150 ltr. Warmwasserspeicher.

Energieausweis: 64,6 kWh = B

Fussbodenerwärmung: Sep. Füssbodenerwärmungen befinden sich im Wohnzimmer, Essplatz und im Duschbad.

Fenster: Weiss, isolierverglast – zur Terrassenseite mit Rollläden.

Bodenbeläge:
Wohnzimmer, Essplatz und Küche mit Echtholzparkett, Schlaf- und Kinderzimmer sind mit Plankenparkett ausgelegt. Ebenso die Flure und das Gäste-WC. Das Studio hat Auslegware. Das Bad wurde sandfarbenen Fliesen belegt.

Extras:
Kamin, Fussbodenerwärmung im Wohnzimmer, Essplatz und Bad, Designer-Einbauküche mit allen erforderl. Elektrischen-Geräten, Rollläden an allen Fenstern zur Terrassenseite, Markise, 2. Terrasse,
neuw. isoliertes Studio, Carport, 1 zusätzl. PKW-Stellplatz, Schuppen für Gartengeräte, Schuppen für Mülltonnen, Heizkörper im Keller, u.v.m.

Übergabe: Sommer 2026 – oder nach Absprache.


4. Fazit

Dieses Objekt ist ideal für junge Familien, da Sie alles bequem zu Fuß erreichen können.
Welches Potential in diesem Objekt steckt, werden Sie bei einem Ortstermin feststellen.


Besichtigungen: Nur nach Vereinbarung.

Wichtiger Hinweis:
Alle Angaben sind nach bestem Wissen gemacht, eine Gewähr kann jedoch nicht übernommen werden.
Zwischenverkauf bleibt vorbehalten.



LAGEPLAN:




AUSSEN-ANSICHTEN:




GRUNDRISSE:



ZUM VERGRÖSSERN, BITTE DOPPELKLICK AUF DEM ENTSPRECHENDEN BILD !



KAUFPREIS:


R E S E R V I E R T !



Mit diesem Immobilienangebot bieten wir Ihnen als Makler unsere Vermittlungs- und Nachweisleistung an.
Eine Verpflichtung Ihrerseits zur Zahlung einer Provision entsteht erst in dem Fall des Zustandekommens eines Kaufvertrages über ein von uns angebotenes Objekt.

Unsere Vermittlungsprovision bei dieser angebotenen Immobilie beträgt insgesamt 6,50 %, wobei Käufer und Verkäufer sich diese teilen.

Der Käufer leistet somit 3,25 % des Kaufpreises inkl. gesetzl. MwSt.
Diese ist bei Abschluss des notariellen Kaufvertrages vom Käufer an uns zu entrichten.

Alle in dieser Expertise stehenden Angaben zum Kaufobjekt sind von dem Eigentümer, Behörden, Banken und anderen Dritten zur Verfügung gestellt worden.

Selbstverständlich wurden alle Angaben mit größter Sorgfalt überprüft.
Wir können für die Richtigkeit und die Aktualität dieser Angaben jedoch trotz hoher Sorgfalt keine Gewähr und keine Haftung übernehmen.

Wir können auch nicht gewährleisten, dass zum Zeitpunkt des Zugangs des Exposés oder zu einem späteren Zeitpunkt das Objekt noch zum Verkauf steht.
Das Angebot ist insoweit unverbindlich und freibleibend.

Soweit vertraglich nichts anderes vereinbart wird, sind die Grunderwerbsteuer, die Notar- und die Grundbuch- / Gerichtskosten vom Erwerber zu tragen.

Nähere Informationen sind jeder Zeit nach Absprache mit unserem Hause persönlich möglich.
Geben Sie uns einfach Ihren persönlichen Wunschtermin auf.


(C) 2023 - Alle Rechte vorbehalten

Diese Seite drucken